Overview
Once you have set up a SWAT+ Toolbox project, you will need to chose SWAT+ data and settings. These are the settings SWAT+ Toolbox will use for sensitivity analysis, manual calibration and automatic calibration.
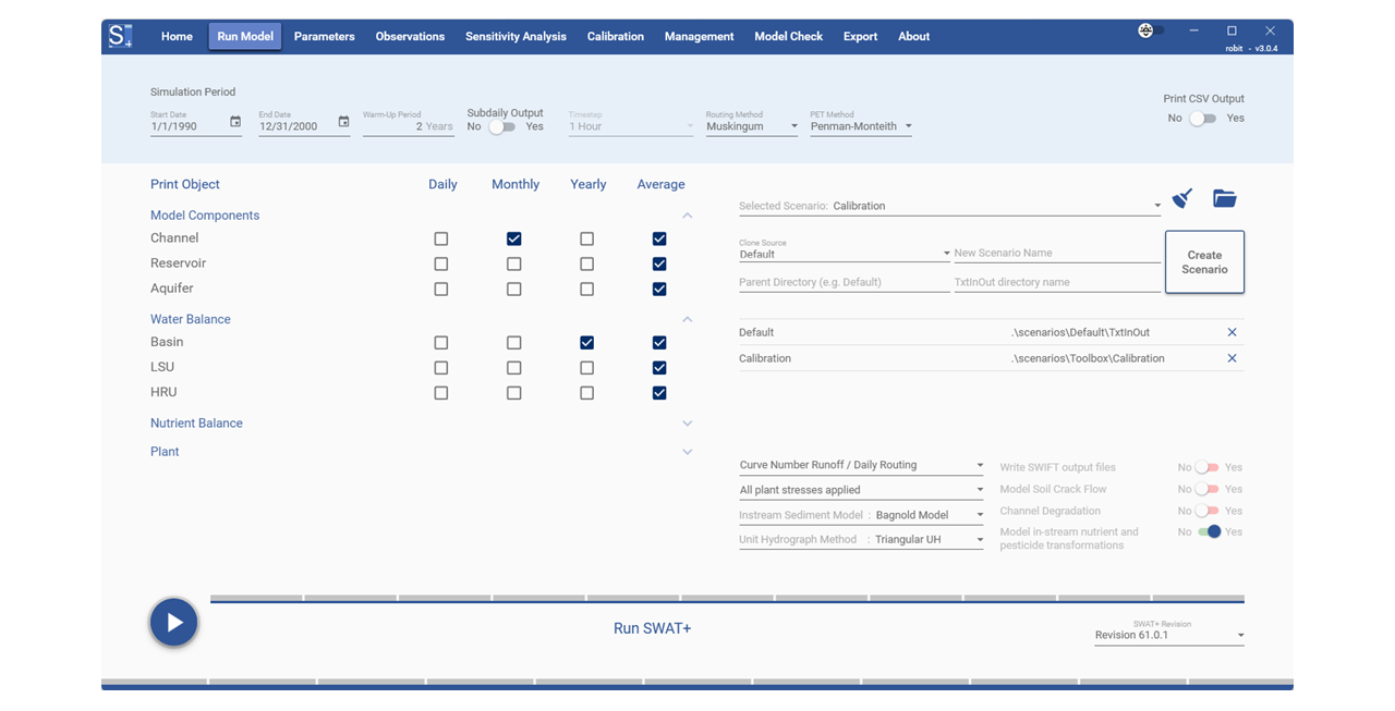
You can chose the 'run-settings' in the 'Run Model' section.

Parameter Data useful for sensitivity analysis, manual calibration and automatic calibration can be added in the parameters section.

Observation data that can be used for sensitivity analysis and calibration can be added in the 'Observations' section
