Run Settings
Overview
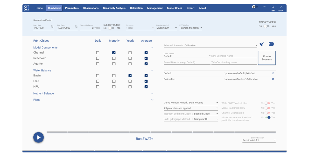
This section allows you to set simulation period, routing method, PET method, print settings and allows you to run SWAT+ and monitor the progress of the run.

You can also open your TxtInOut Directory in one click by clicking the folder icon.
The section also allows you to manage scenarios if you are trying different parameters and management options or even settings in the same project. Keep in mind that creating new scenarios will increase disk space used by the project which may become important if you project is very large.
Simulation Period
By default, SWAT+ will inherit the period for the model run from the time.sim file within the TxtInOut directory. However, you can type in the start and end dates in the 'Start Date' and 'End Date' boxes respectively. If you are not sure about date formats, use the date picker by clicking the icon at the right of each box.

The warm-up period can be set by entering the number of warm up years in the Warm-up period box.
Scenarios
From here on, except in 'Observations', all settings apply to a specified scenario. You can select an active scenario in the scenarios section within the 'Run Model' Settings. By default, there are two scenarios, 'Calibration' scenario and 'Default' scenario. The calibration scenario is used during sensitivity analysis, calibration and validation and modification of management settings. Do not make changes to the Default Scenario. New scenarios are created from the Default scenario.

To add a new scenario, give it a name and set the parent directory name (for example: 'ClimateScenarios'). This is where the TxtInOut directory will be placed under the scenarios folder. Finally set the TxtInOut Directory name (example: 'rcp85').
After clicking on 'Create Scenario' wait for a few seconds and a new scenario will be added to the list. You can select the new scenario in the dropdown as can be seen below.

Routing and PET Methods
SWAT+ Toolbox allows you to chose between Variable Storage and Muskingum Routing methods. It also allows you to choose one of Penman-Monteith, Priestly and Taylor, Hargreaves PET Estimation Methods and an option to Read PET values from a file.
Print Settings
You can choose what results you want to have printed by checking corresponding checkboxes for print object and timestep. Note that you can expand or collapse the print objects' categories by clicking on up or down arrows at the right of each category heading
You can also enable csv output if you want to be able to open the output in excel easily.
Executable Selection
You can select the executable to be used in all runs for the project through the SWAT+ Revision Combobox.

You can add custom executables by editing the executables csv file in the installation directory.
...\SWATPlus\SWATPlusToolbox\assets\executables\exes.csv